A Grand Day Out (2)

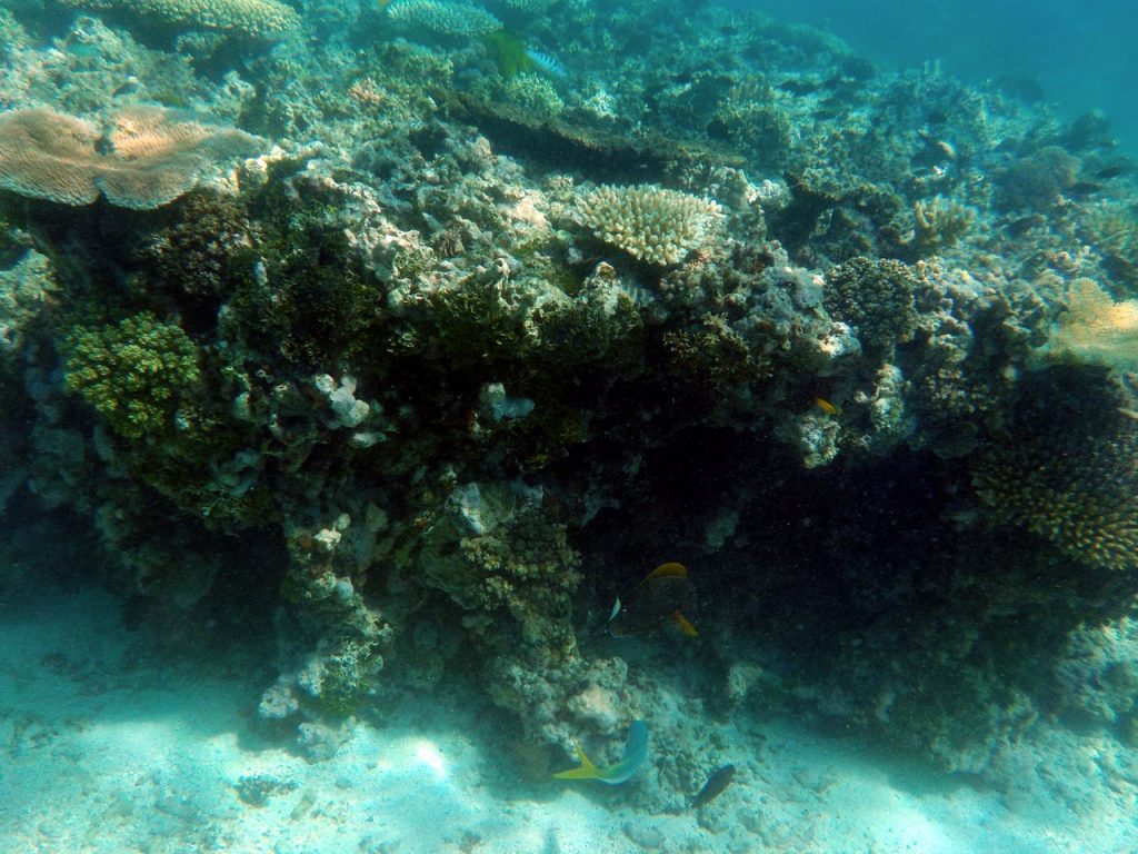
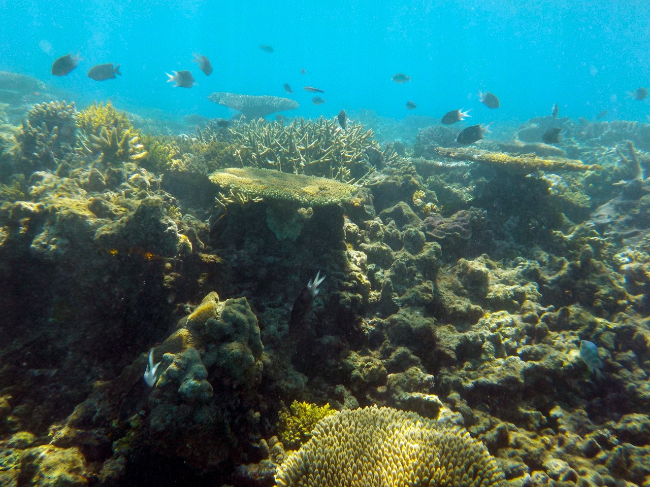
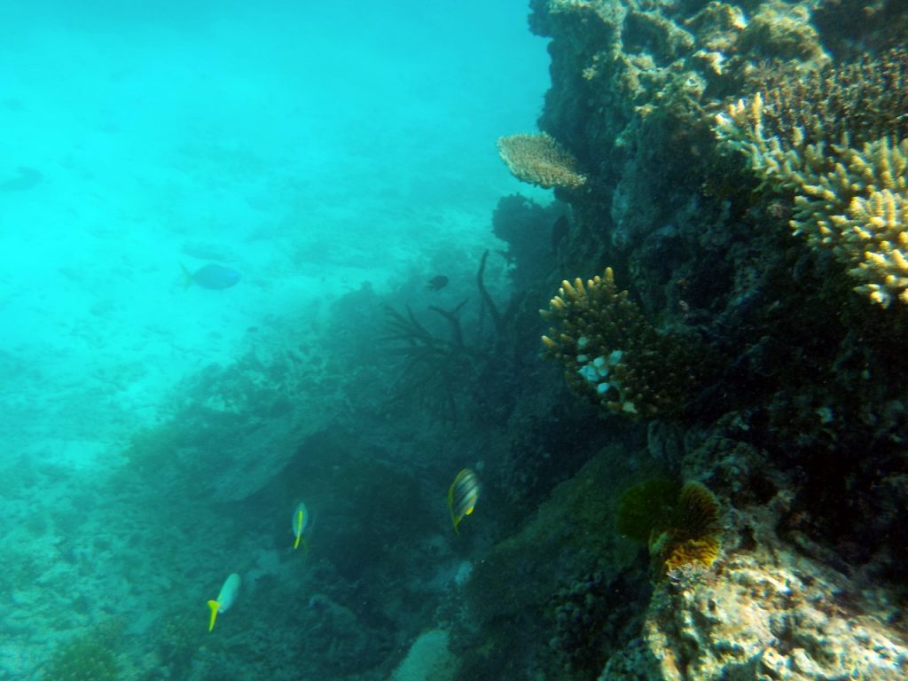
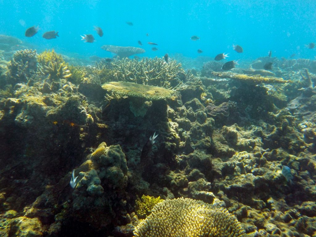
Der eigentliche Grund warum wir aber in Mission Beach bleiben ist, dass das Great Barrier Reef von hier schnell und einfach zu erreichen ist und die Boote nicht so überlaufen sind. Und so stehen wir gegen 6.00 Uhr auf und steigen zu dritt (Vera verzichtet dankend auf den Anblick von Fischen) mit 8 Anderen auf ein Schnellboot und fahren an die Riffe des Outer Reefs. Dort angekommen, zwängt sich jeder in seine Wetsuits, die mitgereisten Deutschen erhalten 2-3 Poolnudeln zum Überleben und bevor die Kapitänin den Kindern eine andrehen kann, ist Lorenz schon 20-30m weit rausgeschwommen („Yours won’t definitely need no help, Hon“) – der Tourbetreiber ist übrigens eine wohltuende Abwechslung zum übervorsichtigen Restaustralien (Motto: „Wer Arschbombe kann, kann auch auf sich aufpassen“) . So folgen Johanna und ich nach und tauchen dann die nächsten drei Stunden an verschiedenen Stellen. Unbeschreiblich, deshalb nur ein paar Bilder…



 

A Grand Day Out (1)

Nach dem Inneren von Queensland zieht es uns an die Bananenküste zurück – zurück nach Mission Beach (da waren wir ’99 schon einmal und hatten eindrucksvolle Begegnungen mit verschiedenen Kasuaren) denn dort sind die Strände wieder tropisch schön. Wieder finden wir ein nettes Plätzchen und wandern am Abend den Strand entlang. Am darauffolgenden Tag streifen wir durch die tropischen Regenwälder von Nordqueensland, die sich schon sehr von den

anderen Urwäldern unterscheiden. Nicht nur feucht und heiß, sondern auch undurchdringlich – wir begegnen zwar nicht direkt einem Kasuar aber es raschelt im Gebüsch und was zeigt sich da?

Hey Mr. Postman, bring me a Banana…

Wenn man die Beschreibung von Charters Towers so liest, dann bekommt man direkt Lust mal in den Outback von Queensland zu fahren.Also raus aus Townsville und ab auf die Straße. Doch Charters Towers hat nun mal keine 30.000 Einwohner sondern gezählte 8.000 und gefühlte 10. Der Ort ist so lebendig wie Wörnitz an einem Sonntag nachmittag, wenn der örtliche Fußballverein auswärts spielt. Die Gebäude sind zwar schön und die Straßen erinnern ein bisschen an Südamerika (natürlich ohne Südamerikaner und Fußball) aber in einer Stadt deren zweitgrößte Sehenswürdigkeit der Friedhof ist darf man halt nichts besonderes erwarten. Also wieder zurück auf die Straße Richtung Küste und mit der Straße ist das im Outback so eine Sache. Als Erstes ist die Abwechslung eher eingeschränkt. Die Straße läuft kilometerlang (oft 20 km oder mehr) schnurgeradeaus, Abwechslung entsteht nur wenn ab und zu die Briefkästen der einzelnen Farmen auftauchen die ja immer wieder mal originell sind (Milchkannen, Kühlschränke, Autoreifen und in einem Fall die Minions) oder die überquerten trocken Flußbette interessante Namen haben (Chinaman Creek, Kanaka Creek, Dead Men Creek oder Furuncula Creek). Ansonsten bleibt es einem nur noch darauf zu warten, dass ein Roadtrain mit drei oder vier Anhängern vorbei donnert. Oder, dass die Kleinen hinten das Singen anfangen! Mit so schönen Liedern wie das selbstgedichtete „Wir wollen Currywurst“ oder „In der Weihnachtsbäckerei“ vergeht die Zeit wie im Fluge – oder auch nicht…

Andere haben Hunde, wir haben Kinder die stundenlang den Kopf zum Fenster raus strecken…

Once I sat in a Billabong

Die andere schöne Attraktion in Townsville ist das Billabong Sanctuary – ein Tierpark in dem man die australischen Tiere bewundern und in einigen Fällen auch anfassen darf. Das ist die Gelegenheit eines der kamerascheueren Tiere wie Koala und Wombat auch aus der Nähe zu sehen und sich mit den Tieren auch mal fotografieren zu lassen. Der Australier an sich schaut sich derweil lieber die Krokodile und deren Fütterung an – die Tiere wurden teils in der freien Wildbahn gefangen, das gibt extra Nervenkitzel. Eines der 5m Tiere wurde an der Strandpromenade von Townsville gefangen, etwa so als ob solche Riesen unter der alten Mainbrücke leben würden – wobei dass sicherlich der Diskussion um den Brückenschoppen neuen Pepp geben würde. Wir aber lasse uns die Hintern der Wombats zeigen (viel wichtiger als allgemein angenommen) und nutzen die Gelegenheit einen Koala mal aus der Nähe zu begegnen. Und so vergeht ein Vormittag schneller als man schauen kann!

Tropic of the Capricorn

Wir überqueren also den Wendekreis des Steinbocks und nähern uns Townsville in der Mitte der Küste von Queensland. Townsville liegt nicht nur strategisch günstig, sondern hat mit dem dortigen Aquarium und dem Billabong Sanctuary gleich zwei Attraktionen zu bieten, die man sich gerne wieder anschauen kann. Wir laufen einen Campingplatz an, der uns aber dezent drauf hinweist, dass sie auf ein anderes Publikum ausgerichtet sind. Kinder zahlen dort einen Aufpreis von 10 $ auf den Seniorenpreis und sind im Pool nicht erwünscht („they do leave so much dirt in it, our elder customers don’t like that!“ – Kapitän Inkontinenzia lässt grüßen und schwimmt lieber in der eigenen Brühe). Jeder darf natürlich sein Geschäft so betreiben wie er will und so suchen wir uns einen anderen Platz in der Nähe der Strandpromenade. Was einem in Townsville als Erstes auffällt, ist dass der CBD (Innenstadt) etwa so belebt ist wie Marktheidenfeld bei Regen und das bei mehr Einwohnern als Würzburg. Als Zweites fällt einem auf, wie viele kostenlose und schöne Einrichtungen die Strandmeile zieren. Es gibt es dort einen kostenlosen Meereswasserpool von gigantischen Ausmaßen und dann einen Wasserspielplatz der auch nicht von schlechten Eltern ist. Die Erklärung dafür ist angeblich, dass nach dem

letzten Zyklon die Versicherungen enorme Mengen an Geld an die Stadt zahlen mussten, und dass die Stadt dieses Geld gleich in Tourismuseinrichtungen investiert hat. Und in Buslinien, immerhin besitzt die Stadt nun 5 Buslinien die stündlich fahren – für Australien wohl schon großer Luxus.
Der Anziehungspunkt der Stadt ist aber (neben der Fähre nach Magnetic Island) das große Aquarium mit dem riesigen künstlichen Korallenriff – dort kann man etliche Stunden verbringen und die schönsten Fische des Great Barrier Reefs zuschauen.

 

Ein Beutel voller Beuteltiere

Aus der Zuckerrohrebene vor Mackay kurven wir die Berge gegen Eungella („Yängyella“ gesprochen, versteh einer die Australier) hinauf. Serpentine um Serpentine bis wir im tropischen Regenwald ankommen um uns den dortigen Nationalpark anzusehen – und zu versuchen Schnabeltiere zu beobachten. Die Schnabeltiere enttäuschen uns nicht, während wir versuchen unser Camp aufzubauen schwimmen schon die ersten im nächsten Fluss – entgegen allen Schildern („evening or early morning“) zur vollen Mittagszeit. Und während wir dann durch den Regenwald wandern , sehen wir noch einige weitere, so viele, dass der Hinweis „Guckt mal, ein Schnabeltier“ nur ein „Na und“ auslöst. Neben den Schnabeltieren gibts aber dann noch Schildkröten, Schlangen, Schmetterlinge und Unmengen an Vögeln zu beobachten und am Abend stromern dann die Opossums um den Wagen.

 

 

Am nächsten Morgen starten wir früh in Richtung Cape Hillsborough, früh deshalb, weil wir fürchten dass der Stellplatz im Nationalpark schnell voll ist. Aber wir bekommen dann noch ein schönes Plätzchen unter Palmen am Strand – einem wunderschönen Strand, mit Palmen, warmen Wasser und Blick auf die Whitsunday Inseln. Wir laufen auch den langen Strand ab, aber das ist nicht das eigentliche Ziel – am nächsten Morgen gegen Sonnenaufgang (5:55 Uhr – die Proteste klingen noch in den Ohren) stehen wir dann wieder am Strand, denn dort versammeln sich Kängurus und Wallabys und lassen sich gut beobachten.
Das hat sich natürlich herumgesprochen und so kommen auf jedes Beuteltier mindestens zwei Japaner und zwei Deutsche. Macht aber nichts trotzdem ist es ein wunderschönes Erlebnis die Tiere in der Morgensonne aus der Nähe zu beobachten. Den Rest des Tages verbringen wir dann im Swimmingpool, beim Wäschewaschen (wo muss man schon Obacht geben beim Wäscheaufhängen nicht einem Känguru auf den Schwanz zu treten) und beim Planen was als nächstes kommt!

Die Rastplätze der Grey Nomads

Was in Australien toll ist, sind die Campingplätze, besonders dann, wenn man sich von den Sardinenbüchsen der Küsten wegbewegt und etwas Ausgefallenere sucht. So hatten wir bisher (keine besondere Reihenfolge): Die Wiese neben einem Wasserfall im Hinterland, eine Pferderanch, eine Gemeindewiese mit eigenem Swimmingpool, einen kleinen Flecken mitten im Nationalpark und einen Stellplatz unter Palmen mit vielen Kängurus im Nationalpark mit einem 20m Schwimmbecken.
Johannas Lieblingsplatz war bisher wohl die Pferderanch, denn dort konnte sie einen mehrstündigen Ausritt mitmachen – raus aus dem Camper, rauf auf das Pferd und ab den Susan River entlang. Der Ausritt war einer der Höhepunkte bisher, auch wenn ihr Pferd „Destiny“ nicht das Schnellste war und mehr am Fressen interessiert war.
Lorenz Favorit war bisher der Platz unter Palmen, das lag aber eher an den Kängurus und dem Riesenschwimmbad. Apropos Schwimmbad – in einem Platz hieß es tatsächlich dass das Schwimmbad nur für Erwachsene zugänglich sei. Klar das wir da nicht bleiben wollten, das Ganze war als Renterparadies gedacht!
Denn auf jedem der Plätze ist eine Spezies immer vertreten: Die der australischen Rentner im Wohnwagen/mit Caravan die für Monate herumziehen und sich Australien anschauen – in Fachkreisen auch „grey nomads“, silver birds“ oder „those bloody buggers“ genannt. Von denen erhält man neben den letzten Fotos der Enkelkinder, allgemeine Ansichten über Australien („Oh Mining Towns will start to grow again, you’ll see“), denen man besser nicht widerspricht auch die schönsten Tipps wo man hinfahren sollte („NiyungNiyung is just 50km from the next unpaved road and such a fantastic place, bring just food, enough water and a few spare tyres!“).
Und wenn alles schief läuft, bekommt man auch noch Tipps wo man

Sicherer Hinweis auf ein Anglerrevier

am Besten angelt, denn Angler findet man an jedem Stellplatz an der Küste, gerne mit eigenem Boot, 5 Angeln, einigen Kisten Dosenbier und natürlich ohne Frau! Wir versuchen sie meistens zu vermeiden… ausser wir wären tatsächlich an den Beschreibungen ihrer Boote interessiert – und hier hat der Herr von Welt kein Ruderboot, oh nein! Viele der Angler benutzen inzwischen Sonar bis 300 m Tiefe um auch wirklich jeder Sardine auf die Spur zu kommen.

On the Highway t(hr)o(ugh) Hell

Australien mag zwar interessant sein, aber die Distanzen sind groß und die Strecken dazwischen oft frei von jedem interessanten Punkt. Und besonders tut sich hier der Bruce Highway zwischen Bundaberg und Mackay hervor – Kilometer um Kilometer voller Leere, Rinder und wenn es hoch kommt Lastwagen und Campern die einem entgegenkommen. Bei jedem zweiten Haus ein „For Sale“ Schild – aber wer will hier schon kaufen… Da hat man genug Zeit über die Schilder am Straßenrand nachzudenken, aber leider hören die auch schon kurz hinter Bundaberg auf! Und wenn dann sind es Werbetafeln, die Werbung für Anwälte („no win no fee“), Immobilienhändler („Rockhamptons favourite“), den nächsten Imbiss („Only 120km to your next Hungry Jack“) oder wenn gar nichts mehr geht, Werbung für Werbetafeln machen.
Da hat man dann Zeit darüber nachzudenken, dass die Australier, ein nettes Völkchen aber etwas sicherheitsfixierter sind, als man denkt! Im Fernsehen laufen Werbespots, die dazu auffordern, doch sich die Taschen und Mülltonnen anderer Personen genau anzuschauen und alles Auffällige zu melden (Hinter jedem Muslim könnte sich ja ein Attentäter verbergen). Auf jedem Campingplatz sind Schilder die darauf hinweisen, dass in Australien Kinder unter 9 Jahren bei Strafe nicht im Stockbett oben schlafen dürfen, dass Kinder unter 12 nicht ohne Erwachsenen auf die Toilette auf dem Campingplatz dürfen und in den Pool dürfen sie ohne Eltern sowieso nicht…
Da zählt man lieber die Caravans und Wohnwägen, die einem entgegenkommen (im Schnitt zwischen Rockhampton und Gladstone jedes zweite Fahrzeug) oder tote Kängurus die am Wegrand liegen – auf der gleichen Strecke nur 3, da sieht man wo man ist! Oder um es mit Lorenz zu sagen: „Das ist doch jetzt der Arsch der Welt, oder?“ Wenigstens taucht ab und zu ein Zuckerrohrzug auf oder eine Zuckerfabrik am Weg, die dann die nächsten Kilometer uns mit dem Geruch nach Melasse „versüsst“.

Gegenverkehr der süßen Art…
…und der weniger süßen Art auf einer Passstraße

A Tale of Two Bays (2)

Nach der Erholung in Byron Bay überqueren wir die Grenze nach Queensland, lassen Brisbane links liegen (wo es gut liegt…) und steuern als nächstes die zweite Bucht auf unserer Tour an: Hervey Bay. Die Gegend ist bei weitem nicht so romantisch und entspannt wie Byron Bay hat aber zwei besondere Attraktionen zu bieten: Fraser Island plus die Sanddünen auf der Landseite und natürlich die Buckelwale in der Bucht. Das Ganze hat natürlich auch eine Kehrseite – tausende von Australiern wollen auch nach Hervey Bay und so sind sage und schreibe alle 14 lokalen Campingplätze ausgebucht und vollgepackt wie Sardinenbüchsen! Jedoch kann uns eine Frau noch etwas empfehlen, wir sollen landeinwärts im Hinterland dem Susan River folgen bis wir auf eine Ranch stoßen, dort könnte man campen.
Man kann dort nicht nur campen und in einigen Appartements übernachten, sondern auch reiten (die Ranch hat über 100 Pferde), und die Stille genießen, ausserdem kann man sich breitmachen und entspannt die Umgebung genießen. Wir nutzen den Aufenthalt gleich noch dazu um das Krankenhaussystem zu erkunden und Lorenz von seinem Gips zu befreien. Als erstes darf man 300+ AUS$ bezahlen, dann zwei Stunden warten, bis eine 22-jährige vietnamesische Ärztin i.A. sich den Arm ansieht („I’m not allowed to do anything, so I’ll check with a senior Doctor“). Während die Ärzte noch beratschlagen, lässt sich der lokale Gipsspezialist die Röntgenbilder aus D und AU zeigen und entscheidet dann eigenmächtig den Gips zu entfernen und Lorenz eine Schiene ala Opa zu geben („let the Doctors write their bloody letters…“) – Problem gelöst!

Am nächsten Tag können wir also befreit auf das Boot in die Bay steigen um nach Walen Ausschau zu halten. Mit zwanzig anderen auf einem Schnellboot geht es am Nachmittag hinaus auf das Meer und die Küste von Fraser Island entlang. Wale zu finden ist einfacher als man

denkt, man muss nur nach den 15 anderen Booten Ausschau halten und so entdecken wir innerhalb kurzer Zeit bereits die ersten Wale, zwar springt keiner aber man sieht die Flossen und einige begleiten das das Boot bis sie am Abend abdrehen und Richtung offenes Meer schwimmen. Wunderschön!

A Tale of Two Bays (1)

Unsere Reise führt uns weiter an die nördliche Grenze von NSW bis hin zu Byron Bay – der ersten von zwei Bays die wir in den nächsten Tagen besuchen werden. Byron Bay ist schon etwas speziell – man merkt noch die Hippie und Surfervergangenheit, aber man sieht auch die Gegenwart, der Genuß von Alkohol ist auf allen öffentlichen Straßen verboten und die Luxusvillen schießen nur so aus dem Boden. Aber der Grund dafür ist immer noch schön: Die Bucht mit dem fantastischen Strand und den gleichmäßigen Wellen, wie gemacht zum Ausruhen und Surfen. Wir verbringen auch gleich einen Tag am Strand um uns von den letzten Kilometern zu erholen, genießen das Rauschen der Wellen und das nicht zu kalte Wasser,
schauen den Surfern zu, die sich in der Brandung versuchen und machen einen langen Strandspaziergang.
Völlig entspannt können wir daher die nächsten Schritte unserer Reise planen, Einkaufen und den Abend mit einem typischen BBQ genießen.